4213 42 AV, Innisfail, Alberta T4G1Y1

1 / 12
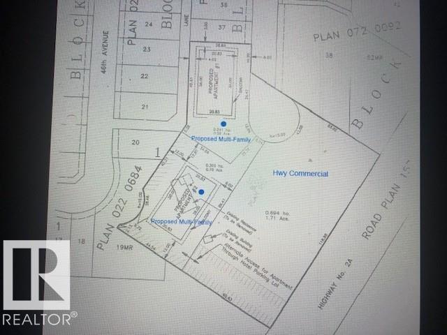
Property is 3.26 Acres with proposed and approved rezoning for Hwy Commercial and Multifamily use. Locked gate off of Hwy 2A. Proceed to 4408-44 Street and enter from cul-de-sac. Large 2272 sq.ft home with double garage is ideal living until property is developed. Being the Seller has not lived in the home; it is being sold 'As Is'.1.71 Acres is zoned for Hwy Commercial; and balance of 1.55 Acres is zoned for R-3 Multi-Family. Innisfail town park borders this property; adding to the value for Multi-family development. All permits and plans are included in the Purchase Price.
Property Specifications
Comprehensive breakdown of features and details.
Interior Details
AppliancesWasher, Refrigerator, Dishwasher, Stove, Dryer, Garage door opener, Garage door opener remote(s)
BasementFinished, Full
Bathrooms Partial1
Bathrooms Total3
Bedrooms Total4
HeatingForced air
Living Area2272 sqft
Building & Exterior
Parking FeaturesAttached Garage, RV
Stories1.5
Year Built1966
Land & Location
City RegionHighway 2A
Lot FeaturesSee remarks, Subdividable lot
Lot Size Dimensions3.26 Acres
Parcel NumberZZ999999999
Listing & Financials
Listing OfficeRE/MAX Excellence
Originating System NameREALTORS® Association of Edmonton
Other Specifications
Common InterestFreehold
CountryCanada
For Sale
$1,299,000
4213 42 AV, Innisfail, Alberta T4G1Y1
Beds
4
Baths
3
Living Area
2,272 sqft
Lot Size
-
Property Type
House
Year Built
1966
Listing IDE4466767