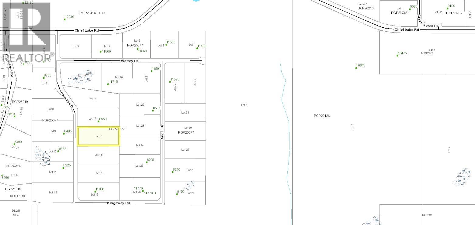
LOT 16 PARADISE ROAD, Prince George, British Columbia V2K5J6

1 / 4
Paradise Estates, 20 Minutes from downtown Prince George and ready for your building plans. Enjoy the clean fresh air of rural living. The Hart Mall is 10 minutes away for shopping and amenities. Buyer to connect to the well at their own expense and satisfy themselves. Other lots are also available in this subdivision off Chief Lake Road. Lot size is approximate, Buyer to verify if deemed important.
Property Specifications
Comprehensive breakdown of features and details.
Land & Location
Lot Size Area4.0 acres
Lot Size Dimensions4
Parcel Number007-989-245
Listing & Financials
Listing OfficeCentury 21 Energy Realty (PG)
Originating System NameBC Northern Real Estate Board
Other Specifications
Common InterestFreehold
CountryCanada
For Sale
$114,900
LOT 16 PARADISE ROAD, Prince George, British Columbia V2K5J6
Lot Size
4 acres
Property Type
Vacant Land
Year Built
-
Listing IDR3070743
Location & Map
Similar Homes You May Like
More Real Estate in British Columbia
Abbotsford Real EstateBurnaby Real EstateChilliwack Real EstateCoquitlam Real EstateDelta Real EstateKelowna Real EstateLangford Real EstateLangley Real EstateMaple Ridge Real EstateNorth Vancouver Real EstateRichmond Real EstateSaanich Real EstateSquamish Real EstateSurrey Real EstateVancouver Real EstateVictoria Real EstateWest Vancouver Real Estate