140 Bay Bulls Road, St. John's, Newfoundland & Labrador A1G1A7

1 / 1
Discover the perfect place to build your dream home on this oversized, fully serviced lot located in a safe and welcoming neighborhood. Just minutes from major shopping centers and conveniently situated on a bus route, this property offers both comfort and accessibility. The lot has a variety of large, mature trees providing privacy and charm. A large, paved driveway offers plenty of parking for multiple vehicles, and the property is already connected to municipal water and sewer for added convenience. Also included is a spacious 16 x 20 shed, ideal for storage or workshop use.
Property Specifications
Comprehensive breakdown of features and details.
Land & Location
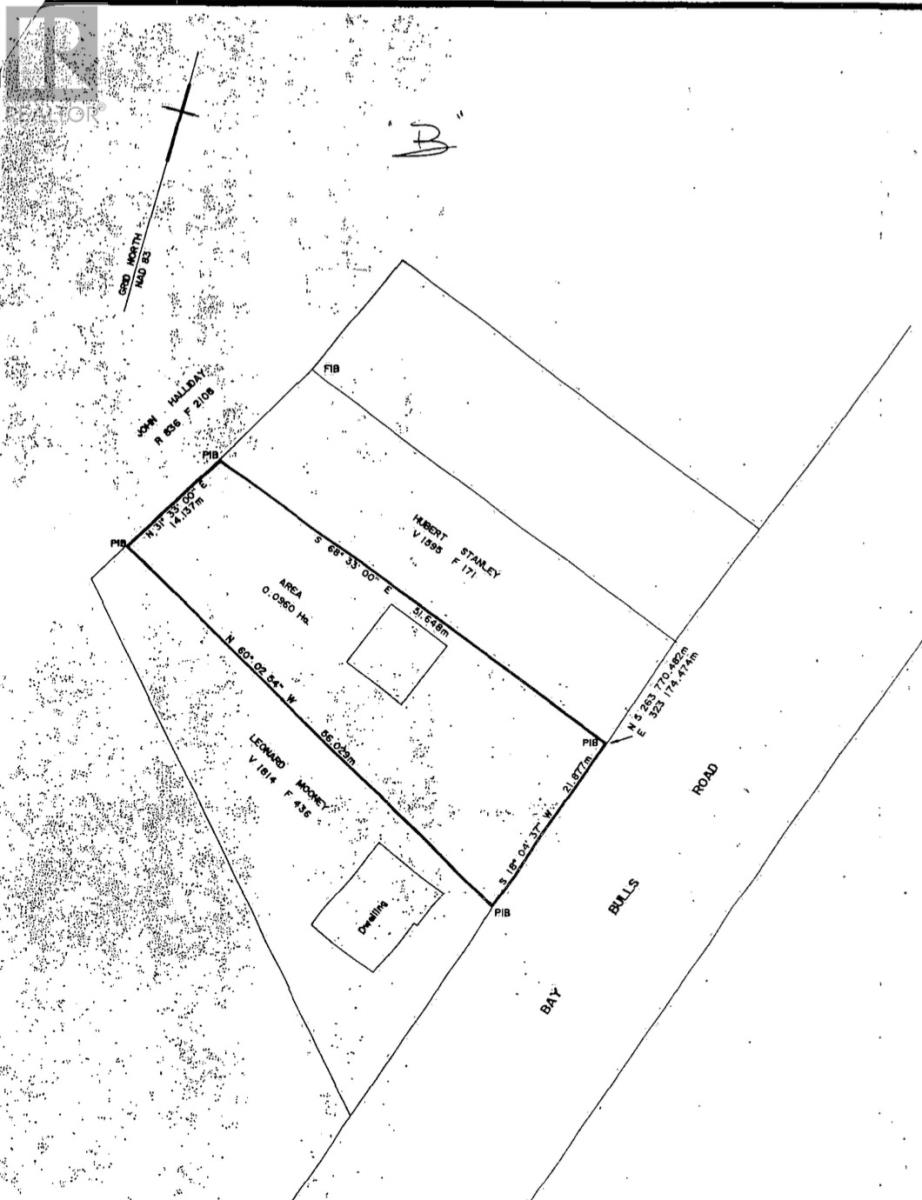
Lot Size Dimensions0.0969 Ha
Listing & Financials
Listing Office3% Realty East Coast
Originating System NameNewfoundland & Labrador Association of REALTORS®
Other Specifications
Common InterestFreehold
CountryCanada
For Sale
$149,000
140 Bay Bulls Road, St. John's, Newfoundland & Labrador A1G1A7
Lot Size
0.0969 Ha
Property Type
Vacant Land
Year Built
-
Listing ID1293010