479 Bear River Road, Bear River, Prince Edward Island C0A2B0

1 / 1
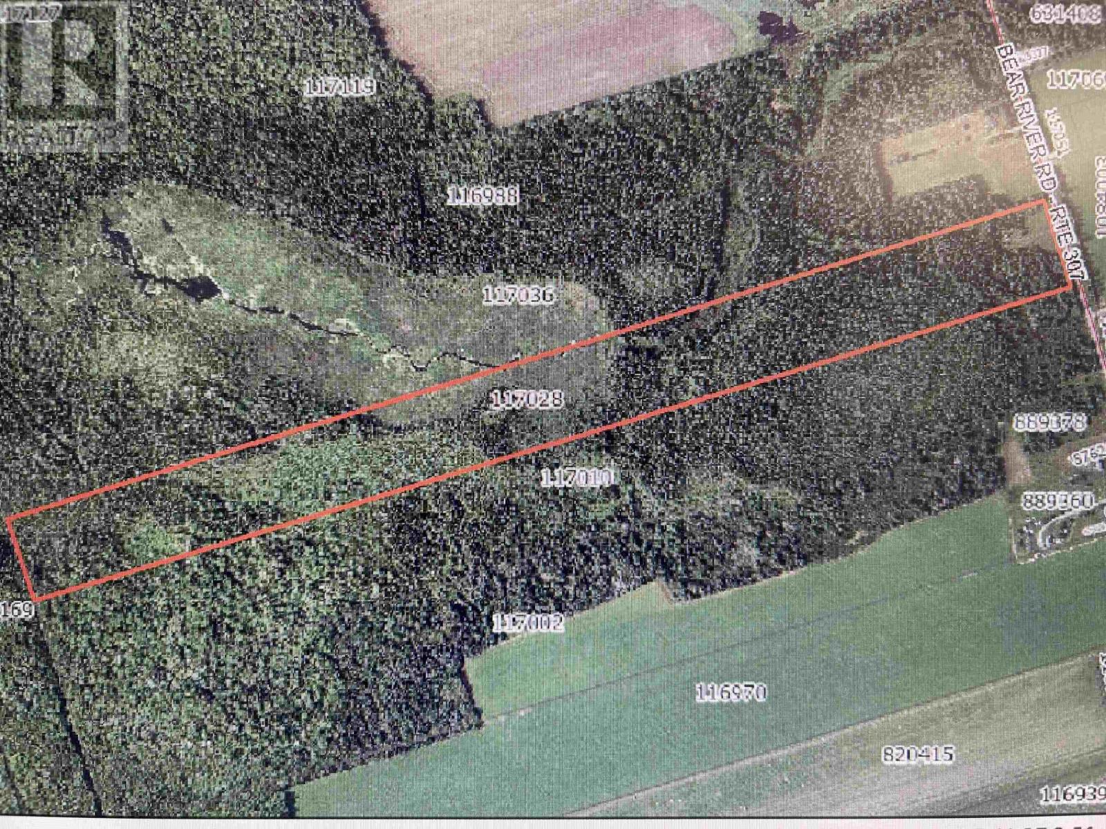
This forty acre parcel is a beautiful acreage situated on the Bear River Road. There was a home on the property in the past making this a perfect spot to build you dream home or cabin. Surrounded by nature the forest and natural beauty are perfect for your own private forest with walking trails or snow shoeing. Located a short drive to the Town of Souris where you will find all necessary amenities.
Property Specifications
Comprehensive breakdown of features and details.
Land & Location
City RegionBear River
Lot FeaturesTreed
Lot Size Area40.0 acres
Lot Size Dimensions40
Parcel Number117028
Listing & Financials
Listing OfficeCOLDWELL BANKER/PARKER REALTY MONTAGUE
Originating System NamePrince Edward Island Real Estate Association
Other Specifications
Common InterestFreehold
CountryCanada
For Sale
$95,000
479 Bear River Road, Bear River, Prince Edward Island C0A2B0
Lot Size
40 acres
Property Type
Vacant Land
Year Built
-
Listing ID202529166