
Vacant Land For Sale
$289,000
MLS® Number: 202529488
Land Size
56.834
Vacant Land For Sale
$289,000
Land Size
56.834
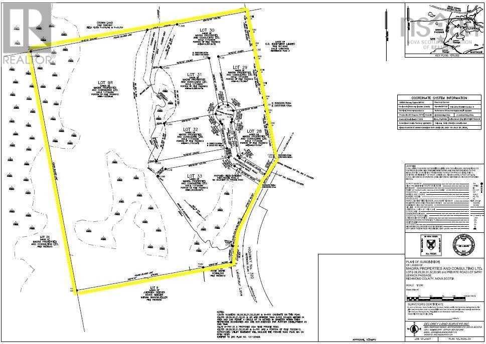
7 Lot Subdiv Hwy 320, Lennox Passage, Nova Scotia
About This Property
This new development, with 7 beautiful building lots, is in located in an attractive area near the Atlantic Ocean in Lennox Passage, on the outskirts of Louisdale, just before the bridge to Isle Madame. The subdivision totals approx. 57 Acres with lot sizes from approx. 2.3 33 Acres. The private access road ("Regina Lane") will be built in the coming months with power lines running to the end of the lane. Costs for this are included in the purchase price! The "rural zoning" allows the lots to be used for a variety of purposes including single & multi-family homes, a small holiday village, apartment projects, and much more. If desired, all seven properties can be granted an optional Atlantic access right of way in a directly adjacent development, which provides for the joint use of the existing "Common Water Access Area" there (see photos). There is no obligation to build. There are no restrictive covenants. The development is located directly on the Fleur-de-Lis Trail, a paved public road (Hwy 320) and is very well connected to Highway 104 to Sydney. Access to two properties is also possible from LeLacheur Lane. Restaurants and shops for daily needs are available two minutes away in Louisdale.
Property Details
Building & Exterior
Parking Features
None
Land & Location
City Region
Lennox Passage
Lot Features
Treed
Lot Size Area
56.8342 acres
Lot Size Dimensions
56.8342
Parcel Number
75229344
Postal Code
B0E1K0
Listing & Financials
Listing Office
EXP Realty of Canada Inc.
Originating System Name
Nova Scotia Association of REALTORS®
Other Specifications
Common Interest
Freehold
Country
Canada
Listed By
EXP Realty of Canada Inc.
Mortgage Calculator
Estimated Monthly Payment
$1,420
Principal and interest only. Actual rates may vary.
Mortgage Calculator
Estimated Monthly Payment
$1,420
Principal and interest only. Actual rates may vary.