
Unknown For Sale
$95,000
MLS® Number: SK026268
Land Size
4,390
Unknown For Sale
$95,000
Land Size
4,390
3 Stanley PLACE, Saskatoon, Saskatchewan
About This Property
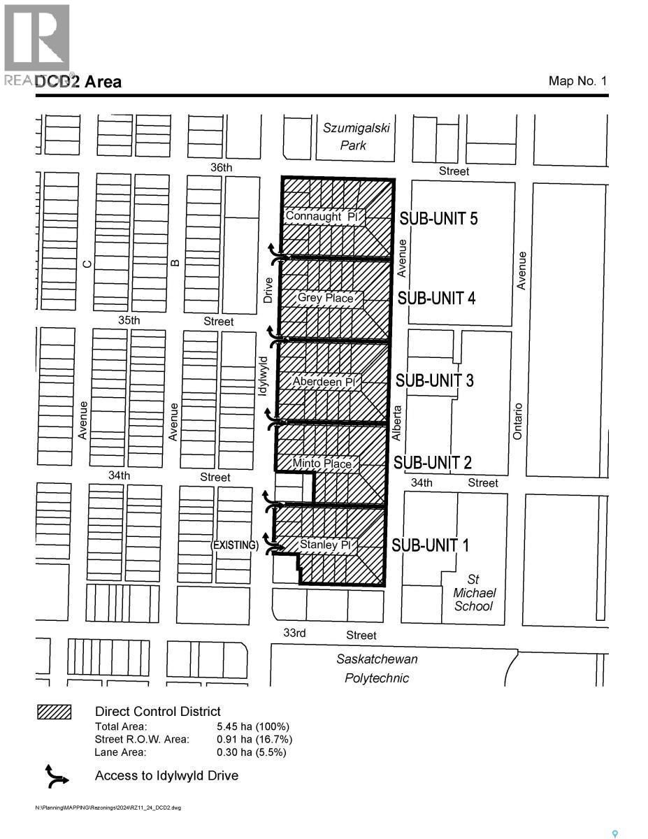
Vacant Lot for sale in DCD2 zoning. Can be packaged with other lots to create larger packages. The lot has already been cleared, with substantial costs incurred for removing the house. There is a potential opportunity to package it with other lots on Stanley Place. The city has a proposed plan in place for rezoning to CS1 / CM1 / CR2. The City of Saskatoon's Corridor Planning team is proposing changes to the zoning and land use regulations for the DCD2 area. Stanley Place is sub-unit 1 in the DCD2 zoning district. Information can be found on the city website.
Property Details
Land & Location
City Region
Kelsey/Woodlawn
Frontage Length
41.1 feet
Lot Features
Irregular lot size
Lot Size Area
4390.0 sqft
Lot Size Dimensions
4390.00
Postal Code
S7L1C3
Listing & Financials
Listing Office
Boyes Group Realty Inc.
Originating System Name
Saskatchewan REALTORS® Association
Other Specifications
Common Interest
Freehold
Country
Canada
Listed By
Boyes Group Realty Inc.
Mortgage Calculator
Estimated Monthly Payment
$467
Principal and interest only. Actual rates may vary.
Mortgage Calculator
Estimated Monthly Payment
$467
Principal and interest only. Actual rates may vary.