
Vacant Land For Sale
$387,350
MLS® Number: A2278260
Land Size
1.27
Vacant Land For Sale
$387,350
Land Size
1.27
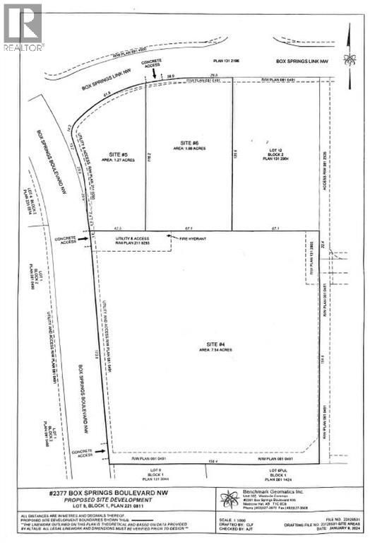
5, 2377 Box Springs Boulevard NW, Medicine Hat, Alberta
About This Property
Prime commercial development opportunity in Medicine Hat’s Box Springs Business Park. This offering includes 1.27 acres, featuring flat topography, excellent sight lines, and easy access along Box Springs Blvd with direct exposure to the Trans-Canada Highway. Off-site levies are paid, with some services already in place. Located directly across from Costco and surrounded by national retailers, restaurants, hotels, and automotive/service users, the site benefits from strong daily traffic and exceptional commercial draw. Vendor financing is available (terms negotiable). An ideal location for commercial, retail, hospitality, or service-oriented development.
Property Details
Land & Location
Lot Size Area
1.27 acres
Lot Size Dimensions
1.27
Parcel Number
0039161294
Postal Code
T1C0C8
Listing & Financials
Listing Office
AVISON YOUNG
Originating System Name
Medicine Hat Real Estate Board Co-op
Other Specifications
Common Interest
Freehold
Country
Canada
Listed By
AVISON YOUNG
Mortgage Calculator
Estimated Monthly Payment
$1,903
Principal and interest only. Actual rates may vary.
Mortgage Calculator
Estimated Monthly Payment
$1,903
Principal and interest only. Actual rates may vary.