NO 247 Highway, Point Michaud, Nova Scotia B2J1B3

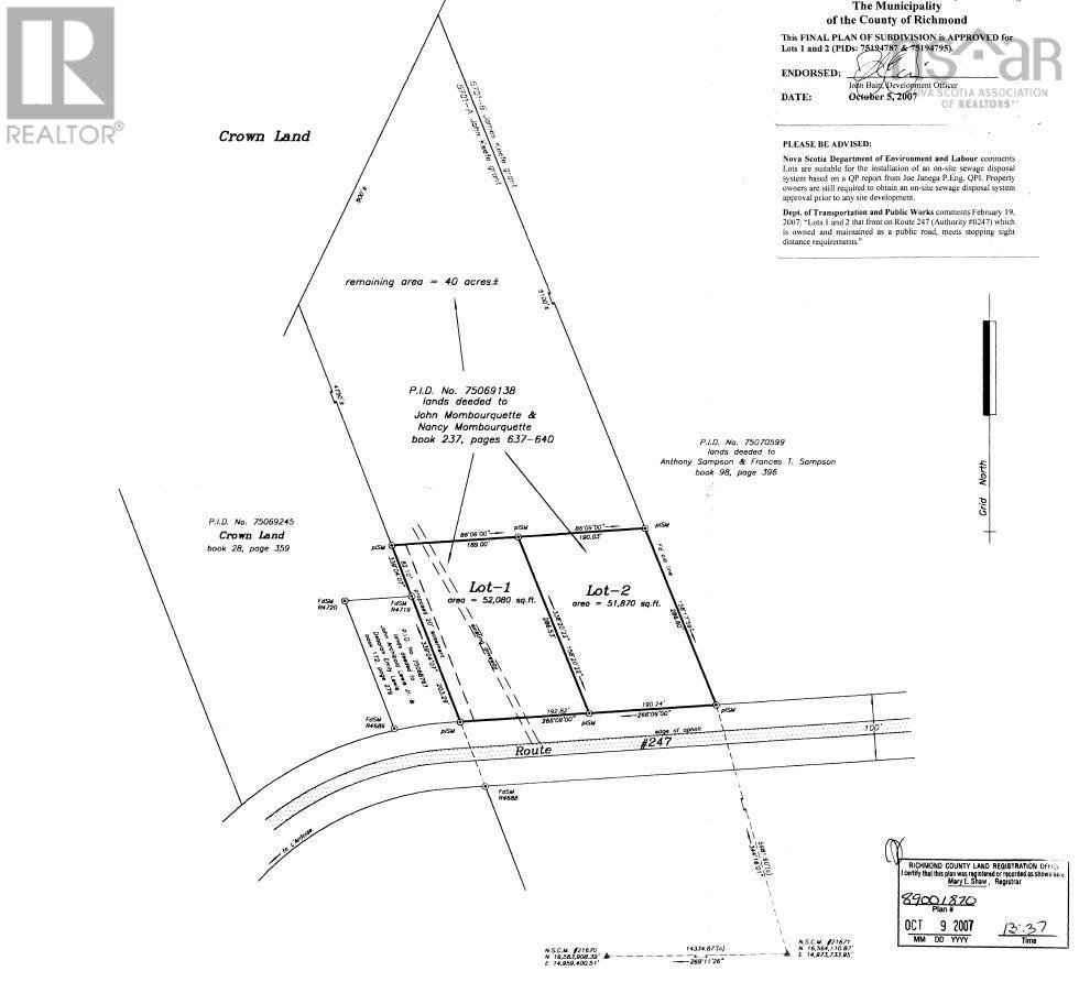
This is your opportunity to own 42+ acres of pristine, partially-forested land in the scenic coastal community of Point Michaud, Cape Breton Island. This vacant land consists of three parcels - PID's #: 75069138 (40 acres), 75194787 (1.2 acres), and 75194795 (1.2 acres) and offers exceptional privacy and natural beauty, making it an ideal setting for a future oceanside homestead, an Air B&B, a surfer hostel, a recreational retreat, or a long-term investment. With 380'+ of road frontage on Hwy 247, the land is partially cleared with plenty of woods surrounding and rich with wildlife, providing a peaceful and unspoiled environment. There is a road already cleared from the highway reaching nearly 1km into the property. Located only minutes walk from the sandy shores of Point Michaud Beach Provincial Park and a short drive to the local amenities of L'Ardoise and St Peter's, this property offers a perfect balance of seclusion and accessibility. Whether you're looking to build, explore or invest, this expansive domain captures the true essence of rural Cape Breton living. Please consult the posting on www.realtor.ca, MLS# 202600525.
Property Specifications
Comprehensive breakdown of features and details.
Building & Exterior
Land & Location
Listing & Financials
Other Specifications
For Sale
$80,000
Lot Size
42.3907 acres
Property Type
Vacant Land
Year Built
-