260 KING STREET W, Brockville, Ontario K6V3S1

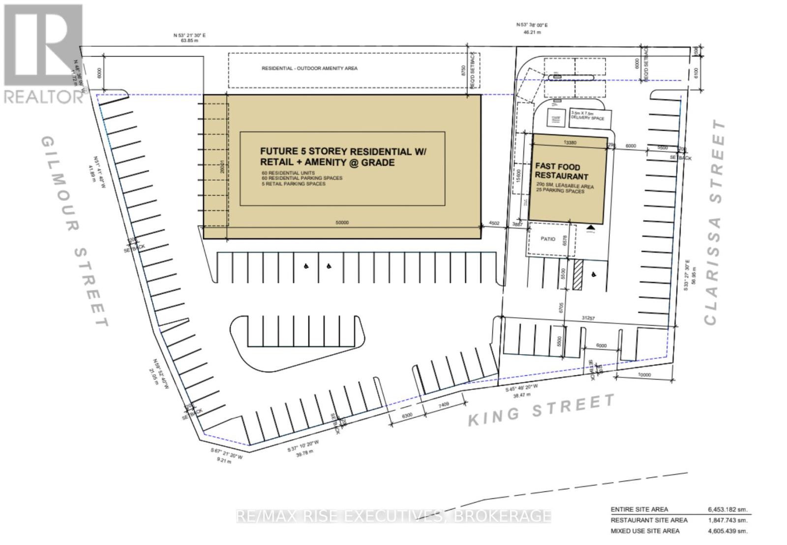
Exceptional opportunity to acquire a premier downtown Brockville corner (Sale is of Raw Land) with a Letter of Intent in place for a drive-thru development (terms subject to confidentiality). Details are available upon execution of an NDA. The LOI conditions are intended to run with the sale, and formal lease negotiations are underway. This offers a potential build-to-suit drive-thru restaurant opportunity with a major franchise tenant, subject to site plan approval and end-buyer development requirements. The Seller also owns an adjacent single-tenant property, and expanded acquisition opportunities may be considered. Location highlights: Key corner directly opposite Metro in downtown Brockville, less than one block to the Brockville Arts Centre, approximately 800 metres to Brockville City Hall, Immediate area momentum: adjacent rear lands recently developed with two multi-residential apartment buildings, approximately 500 metres to the recently approved Dailey Lot development (128 residential units). Further details cannot be disclosed without a signed NDA. Long Form of Lease for Tenant may be subject to first right of refusal to purchase by Tenant.
Property Specifications
Comprehensive breakdown of features and details.
Interior Details
Land & Location
Listing & Financials
Other Specifications
For Sale
$598,500
Beds
-
Baths
-
Living Area
2,500 sqft
Lot Size
0.457 acres
Property Type
{"AvailabilityDate": null, "DocumentsAvailable": [], "LeaseAmount": null, "LeaseAmountFrequency": null, "BusinessType": [], "LeasePerUnit": null, "WaterBodyName": null, "PoolFeatures": [], "RoadSurfaceType": [], "CurrentUse": [], "PossibleUse": [], "AnchorsCoTenants": null, "Fencing": [], "OtherEquipment": [], "TotalActualRent": null, "ExistingLeaseType": [], "InternetEntireListingDisplayYN": true, "Inclusions": null, "CoListOfficeKey": null, "CoListOfficeKey2": null, "CoListOfficeKey3": null, "CoListAgentKey": null, "CoListAgentKey2": null, "CoListAgentKey3": null, "InternetAddressDisplayYN": true, "Directions": "Cross Streets: Clarissa and King Street West. ** Directions: Across from Metro corner of King Street West and Clarissa Street Brockville directly beside Score Retail store.", "AboveGradeFinishedArea": null, "AboveGradeFinishedAreaUnits": null, "AboveGradeFinishedAreaSource": null, "AboveGradeFinishedAreaMinimum": null, "AboveGradeFinishedAreaMaximum": null, "BelowGradeFinishedArea": null, "BelowGradeFinishedAreaUnits": null, "BelowGradeFinishedAreaSource": null, "BelowGradeFinishedAreaMinimum": null, "BelowGradeFinishedAreaMaximum": null, "LivingAreaSource": null, "LivingAreaMinimum": null, "LivingAreaMaximum": null, "PropertyCondition": [], "Roof": [], "ConstructionMaterials": [], "BedroomsAboveGrade": null, "BedroomsBelowGrade": null, "Zoning": null, "ZoningDescription": "MD", "TaxAnnualAmount": 5961.52, "TaxBlock": null, "TaxLot": null, "TaxYear": null, "IrrigationSource": [], "WaterSource": ["Municipal water"], "Sewer": [], "Electric": []}
Year Built
-