
Vacant Land For Sale
$44,000
MLS® Number: 202601022
Land Size
0.514
Vacant Land For Sale
$44,000
Land Size
0.514
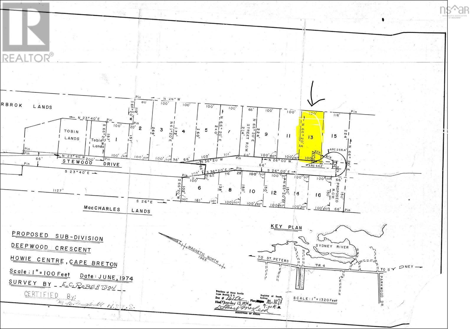
Lot 13 Stewood Drive, Howie Centre, Nova Scotia
About This Property
This 0.51-acre vacant lot is located in a quiet, well-established neighbourhood just off Kings Road, within the desirable Stewood Drive subdivision. The rear of the property borders a community park. The lot is partially cleared and includes a driveway already installed, along with a previously approved septic permit, providing a strong head start for buyers planning to build. The property offers approximately 99 feet of road frontage, is zoned RR5 (One and Two Unit Rural Residential), and has power available at the roadside. An insulated shed, constructed approximately one year ago, is included in the sale. The shed measures 8 ft x 12 ft, and provides practical storage or workspace during future development. Mature trees surround the property, adding privacy and a natural setting, while nearby homes and well-maintained streets reflect pride of ownership throughout the area. Conveniently located just minutes from shopping, services, schools, and everyday amenities, this property offers an excellent balance of peaceful surroundings with urban convenience. For Full Listing detials go to Realtor.ca MLS#202601022.
Property Details
Building & Exterior
Parking Features
Gravel
Land & Location
City Region
Howie Centre
Lot Features
Treed, Partially cleared, Softwood bush
Lot Size Area
0.5142 acres
Lot Size Dimensions
0.5142
Parcel Number
15029390
Postal Code
B1L1C6
Listing & Financials
Listing Office
Cape Breton Realty
Originating System Name
Nova Scotia Association of REALTORS®
Other Specifications
Common Interest
Freehold
Country
Canada
Listed By
Cape Breton Realty
Mortgage Calculator
Estimated Monthly Payment
$216
Principal and interest only. Actual rates may vary.
Mortgage Calculator
Estimated Monthly Payment
$216
Principal and interest only. Actual rates may vary.